Обяви За нас Контакти
Продава ПАРЦЕЛ
област Варна, с. Долище
Център
19 900 €
38 921.02 лв.

(39 €, 76.28 лв./m2)
Не се начислява ДДС
История на цената
Коригирана в 7:58 на 7 ноември, 2025 год.
Обявата е посетена 1280 пъти.
Площ:
507 m2
Регулация:
ДА
Ток:
ДА
Вода:
ДА

Описание на имота:


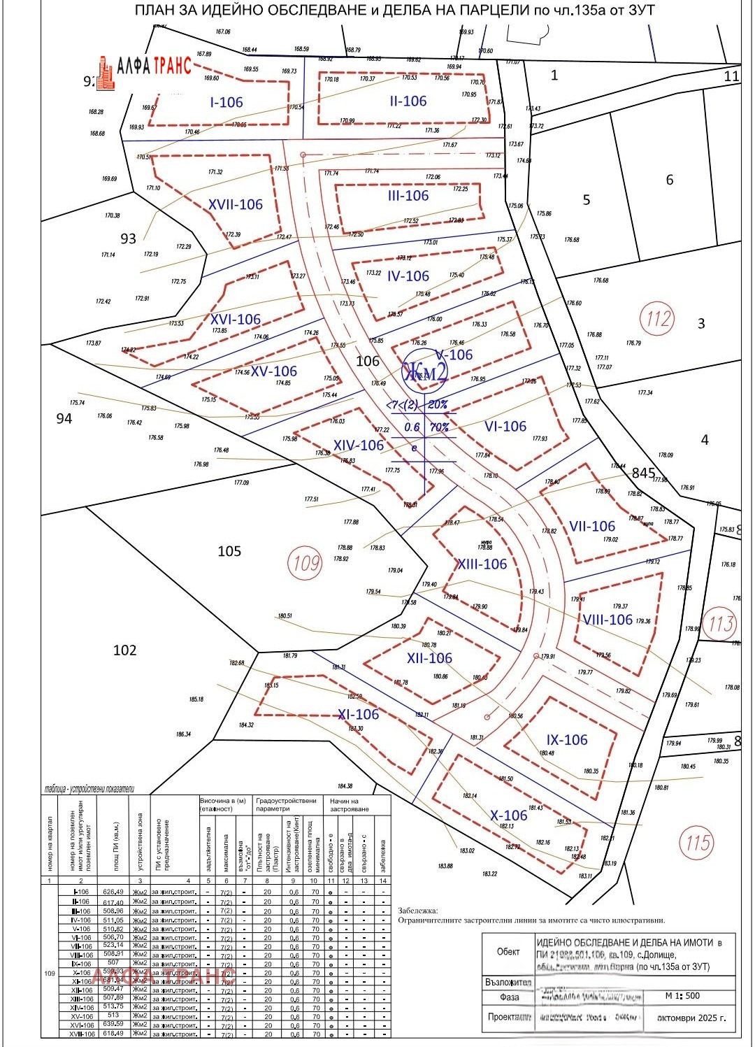
Продавам Парцел-/УПИ /-507 кв.м., с. Долище,общ.Аксаково , обл. Варна, в регулацията на селото, ток, вода на границата на имота, път. Параметри на застрояване; 1. Плътност - 40 %, Височина - 10 метра, Кинт-1.2, РЗП -600 м2.. Продава се като самостоятелен парцел от комплекс от 20 имота с площ-11 декара, със обща масивна външна ограда.
В момента се извършва делба на самостоятелни парцели. Имота има ПУП и готов Идеен проект за къща към всеки парцел. Тока и вода до границата на общия парцел. Ще бъде качен допълнително списък с точната квадратурата на всеки парцел.
Предлагаме и строителство до ключ от наша строителна фирма по желание на клиента. Всеки клиент може сам да си избере външен строител по изпълнение на неговия проект и на неговата къща. Може да се купят и др. съседни имоти:
1.Парцел -УПИ-IX-106-507 кв.метра-19900 Евро .
2.Парцел -УПИ-X-106-600 кв.метра-21900 Евро .
3.Парцел -УПИ-XI-106-681 кв.метра-24000 Евро .
Намират се преди центъра на селото вляво и над центъра с гръб-гора и на 18 км. от гр. Варна. Има и градски транспорт до селото.
Цена -19 900 Евро .
ТАЗИ И ОЩЕ МНОГО ОФЕРТИ МОЖЕ ДА НАМЕРИТЕ НА;
www.alfatrans-bg.eu.
Виж всички обяви в alfatrans.bazar.bg или тук
Особености
За жил.строителство
За контакт:
0876555421
Брокер:
Антон Чавеев
0876555421
Офис: гр. Варна , ул. ' Дрин ' 1 , Вх. Е , партер
Още оферти от брокера: Продава | Дава под наем | Купува | Наема
Агенция:
АЛФА ТРАНС
0876555421
АЛФА ТРАНС logo
Медал за прослужено време
В imot.bg от 2016 г.
alfatrans.imot.bg
Адрес:
област Варна, гр. Варна, гр.Варна , ул.Дрин 1, Вх. Е , партер
http://www.alfatrans-bg.eu
ИЗПРАТИ ЗАПИТВАНЕ
ИЗПРАТИ ЗАПИТВАНЕТО

Продава ПАРЦЕЛ
област Варна, с. Долище
Център
Обява: 1r175579017635796

19 900 €
38 921.02 лв.
История на цената
(39 €, 76.28 лв./m2)

Не се начислява ДДС
ЗАПАЗИ ОБЯВАТА

Местоположение: област Варна, с. Долище, Център